Clique aqui para voltar à página inicialhttp://www.novomilenio.inf.br/santos/h0244.htm
Última modificação em (mês/dia/ano/horário): 08/27/06 19:42:31
Clique na imagem para voltar à página principal
HISTÓRIAS E LENDAS DE SANTOS
Corridas de cavalos... na Ponta da Praia!

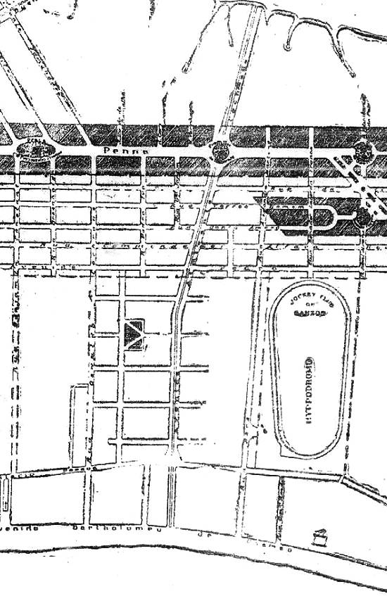
Poucos santistas ainda lembram do tempo em que Santos teve seu hipódromo com funcionamento regular, instalado na então Ponta da Praia, em área que seria depois reenquadrada como pertencente ao bairro de Aparecida e mais tarde ocupada por um conjunto habitacional, um centro comercial e instalações da Previdência Social. Ele pode ser visto neste antigo cartão postal, de cerca de 1940 (o circuito que aparece no canto superior direito):


Foto: Acervo José Carlos Silvares/Santos Ontem

Embora, meio século depois da extinção do clube, muitos até duvidem de que tenha existido, a história está lá, nos antigos jornais santistas, inclusive contando que a estréia foi adiada por uma semana para que o então presidente (cargo equivalente ao do atual governador) do Estado de São Paulo, Altino Arantes, pudesse comparecer - e mesmo assim ele não esteve presente: acabou enviando um representante. Até um trem especial da São Paulo Railway foi programado para transportar os paulistanos a Santos, no dia da inauguração.

Os elogios só murcharam ao se lembrar das falhas no serviço de bondes urbanos. Mas não estranhe o leitor esse tom de elogio rasgado, nas notícias da época: menos de um mês depois, apareciam as primeiras críticas na imprensa, também fortes, em razão do Jockey Clube de Santos não fazer como outros clubes, oferecendo ingressos de cortesia para sócios de clubes co-irmãos e à imprensa. Também foi noticiada depois a suspensão por alguns páreos de diversos jóqueis, por infrações ao regulamento das corridas nesse dia inaugural.

No dia 20 de julho de 1919, o jornal santista A Tribuna publicou, em sua coluna esportiva (ortografia atualizada):

Sport
TURF

Jockey Club de Santos

Domingo vindouro inaugura-se o belo prado santista. Vem sendo de há muitos dias para cá assunto obrigatório no mundo turfista, a próxima inauguração do prado de corridas desta cidade.

Levando em conta os grandes recursos de que dispõe a novel sociedade, não só pecuniariamente mas também no esporte do turfe, é de esperar que a inauguração do hipódromo seja um verdadeiro acontecimento esportivo, que muito virá corresponder à ansiedade dos inúmeros aficcionados do turfe.

O sr. Altino Arantes, presidente do Estado, altas autoridades estaduais e municipais, comparecerão a este certame esportivo, solenizando assim a inauguração do nosso prado.

O dr. Antonio de Assumpção, presidente desta novel sociedade, tudo tem feito para que esta inauguração venha corresponder plenamente à ansiedade e desejo dos turfistas santistas e paulistanos.

Para a festa inaugural de domingo, foi ontem organizado o bem confeccionado programa que abaixo damos:

1º páreo - "Abertura" - 1.000 metros - Prêmios: 1:000$000 ao 1º e 200$000 ao 2º. Animais: Ditosa 52 quilos, Pastora 52, Corta-Vento 52, Ímpeto 52.

2º páreo - "Jockey Club Paulistano" - 1.500 metros - Prêmios: 1:200$000 ao 1º e 240$000 ao 2º. Animais: Veloz 54 quilos, Bohemia 52, Western 52, Torpedo 51, Apachenette 51.

3º páreo - "Jockey Club Uberabense" - 1.200 metros - Prêmios: 1:000$000 ao 1º e 200$000 ao 2º. Animais: Londrina 53 quilos, Kevi-Kevi 50, Chanceller 55, Pocker 51, Lupe 49.

4º páreo - "Jockey Club de Santos" - 1.609 metros - Prêmios: 1:300$000 ao 1º e 260$000 ao 2º. Animais: Paralus 53 quilos, Gioconda 52, Aviador 50, Gorizia 52.

5º páreo - "Derby Club" - 1.500 metros - Prêmios: 1:000$000 ao 1º e 200$000 ao 2º. Animais: Ironia 48 quilos, Ventura 52, Bruis 54, St. Martin 52, Wolney 53.

6º páreo - "Jockey Club Campineiro" - 1.200 metros - Prêmios: 1:200$000 ao 1º e 240$000 ao 2º. Animais: Itappa 53 quilos, Serrana 53, Sybila 54, Phalguette 54, Suavita 53, Pátria 52.

7º páreo - "Jockey Club Fluminense" - 1.500 metros - Prêmios: 1:200$000 ao 1º e 240$000 ao 2º. Animais: Nenah 49 quilos, Ben-Linton 53, Aladyr 50, Brasil 52.

8º páreo - "Grande Prêmio Inaugural" - 1.700 metros - Prêmios: 3:000$000 ao 1º e 600$000 ao 2º. Animais: Morpheu 52 quilos, Cachopa 49, Chispazo 50, Scutari 50, Gorizia 51, Half Sister 53.

As instalações do Jockey, em planta de 1928: ocupava imensa área no atual bairro Aparecida
Imagem: detalhe de publicidade no jornal santista A Tribuna, em 5/8/1928

No dia 23 de julho de 1919, A Tribuna voltou ao tema, na mesma coluna:

Sport
TURF

Da nossa colega A Gazeta, de São Paulo, transcrevemos a seguinte notícia:

"A corrida inaugural de Santos - A julgar pelo entusiasmo reinante em nossos meios esportivos, a corrida de domingo próximo no prado da Ponta da Praia, em Santos, vai ter um brilho notável. Entre os apaixonados do turfe não se fala de outra coisa, aguardando todos, com enorme ansiedade, a realização do meeting inaugural na vizinha cidade.

Os book-makers, que ontem iniciaram as suas operações, têm estado, por isso, freqüentadíssimos. Por aí se pode medir o entusiasmo que neste momento empolga os nossos turfmen. Quando o Pintinho, às 13 horas, fez inscrever na pedra da Casa Ideal as cotações dos diferentes parelheiros que concorrem aos prêmios do programa, era avultado o número de pessoas interessadas por saber quais seriam os favoritos da cátedra (os book-makers são a cátedra...). E não mentimos dizendo que desde logo se fez bastante jogo. Half Sister, por exemplo, encontrou, de pancada, comprador para 50 poules em suas patas a 100/10...

De acordo com as cotações de abertura, são favoritos: Ditosa, Bohemia e Veloz; Poker e Kevi-Kevi; Gorizia, Wolvey, Scutari; Ben-Linton e Brasil.

- Lydio dos Alves montará em Santos os animais que defendem as cores do stud Alves e Bueno.

- A Associação dos Cronistas Sportivos vai estabelecer para as corridas de Santos um concurso de palpites, baseado no regulamento dos concursos passados.

A caravana esportiva - Para maior facilidade na condução dos srs. turfmen que irão a Santos presenciar a corrida inaugural da temporada, o Jockey Club de Santos conseguiu da diretoria da S. Paulo Railway um trem especial que partirá de S. Paulo às 9,45 horas, devendo sair de Santos às 17,45 horas.

Para esse trem as passagens custarão apenas 6$500, ida e volta.

Para os turfmen que pretenderem o direito à entrada em Santos, a passagem custará, com essa regalia, a importância de 10$000. As senhoras não pagarão entradas.

Além do trem especial acima aludido, partirão os seguintes trens para Santos, no horário ordinário: 6 horas, 8 horas e 10 horas. Haverá mais um trem, além do especial, para a volta".

No domingo, 27 de julho de 1919, A Tribuna publicou ampla matéria, com dois clichês (fotos) - das arquibancadas e do prado -, e mais um retrato do presidente do novo clube. O relato da inauguração do hipódromo foi publicado no dia seguinte, 28 de julho, nesse mesmo jornal (notando-se ainda que ocorreu mudança na ordem dos páreos disputados, o certame foi fechado com o prêmio Jockey Club Fluminense):

Sport
TURF
Jockey Club de Santos

A inauguração do prado

"Gorizia" levanta o "Grande Prêmio Inaugural"

Com a presença do sr. secretário da Agricultura, representante do sr. presidente do Estado, e outras autoridades estaduais, federais e municipais, inaugurou-se ontem às 14 horas o lindo prado do Jockey Club Santista.

As duas arquibancadas estavam repletas de senhoras e graciosas senhoritas, que emprestaram a este festival, com a sua graça e com o donaire do seu porte, um encanto, um lindo espetáculo. Incontestavelmente, o sexo feminino predominou ali, comparecendo o que havia de mais chic e mais seleto nas sociedades santista e paulistana.

Rigorosamente vestidas, ostentando lindas e variadas toilettes de cores cambiantes, agradando sobremaneira à vista da enorme assistência de aficcionados do turfe, que circundava a pista, ansiosa pelo início do bem organizado programa, composto de oito páreos, sendo disputado o grande prêmio "Inaugural".

O meeting de ontem esteve deveras encantador, e muito excedeu a nossa expectativa. Tudo correu debaixo da mais rigorosa ordem, não tendo ocorrido o menor incidente desagradável, sendo que, para isso, muito contribuiu a ação valiosa do subdelegado de polícia, major José Baccarat, que dirigiu com proficiência o serviço de veículos.

Foi, pois, uma bela festa inaugural a de ontem, que muitas recordações deixará a todas as pessoas que lá compareceram.

Somente o serviço de bondes deixou muito a desejar, devido à deficiência de carros, acarretando isso grande retardamento no transporte das pessoas que precisavam regressar às suas residências.

A conhecida filial da fábrica de cerveja Brahma ergueu uma barraca provisória, a fim de fornecer o produto de seu fabrico aos seus inúmeros fregueses.

***

Foi cumprido à risca o magnífico programa composto de oito páreos.

As carreiras, pelos seus desfechos quase todos inopinados, empolgaram os espectadores, que aplaudiram calorosamente os vencedores, nas suas belas chegadas, algumas eletrizantes.

Entre estas é de salientar a do "Grande Prêmio Inaugural", que entusiasmou sobremaneira pelo seu desenrolar, que foi emocionante, notando-se o visível empenho de todos os jockeys, que montaram nesse páreo, de conduzir à vitória os seus pilotados.

José Augusto, que foi o que menos soube dirigir o seu cavalo, saiu bem com o Morpheu, puxando a carreira, até a reta oposta, quando a nervosa Half Sister, em obediência a Ricardo Cruz, que a conduzia, se colocou firme à anca do filho de Calepino, enquanto, a alguns corpos, vinham atrás, em bolo, Gorizia, Scutari e Chispazo, que antes de iniciar a última curva esmoreceu.

Entrados os animais na reta final, o leader sucumbiu e ia a égua dos srs. Abreu e Costa passar-lhe à frente, quando, por fora, surgiu, em galões admiráveis, a parelha dos srs. Lazzareschi e Buttori, que tomou a frente, logo se desvencilhando dos outros, que não resistiram à sua atropelada.

Uma vez na ponta, as representantes desse importante stud galoparam até ao poste de vencedor, conseguindo Gorizia, habilmente guiada por Cláudio Ferreira, chegar em primeiro, com a diferença de meio corpo da sua companheira de box, Scutari.

Morpheu ficou em terceiro e Chispazo, que ao final reacionou, ainda veio arrebatar o quarto lugar à zaina filha de Llongibby, que fechou a raia, esgotada.

Os outros páreos não foram menos entusiasmadores: Pastora, um pouco favorecida pelo pulo, ganhou bem; Kevi-Kevi, também; Gorizia fez doublet excelente. Saint Martin ganhou firme; Apachenette venceu com facilidade de ponta a ponta; Serrana correu regularmente, triunfando com segurança e, no último páreo, Ben Linton não se negou a partir e, bem dirigido por Cláudio Ferreira, foi até ao vencedor só incomodado por Brasil, porque os outros dois no páreo pararam.

Couberam as honras do dia aos distintos proprietários da valorosa Gorizia, que ganhou dois páreos, um dos quais o Grande Inaugural, em que Cláudio Ferreira se patenteou um verdadeiro "Archer", tal a habilidade com que dirigiu aquela égua.

Merece também louvor Ricardo Cruz, que conduziu o vencedor com mestria a Apachenette e obteve magníficos segundos lugares.

O movimento geral de apostas foi ótimo e alvissareiro - 74:026$000

O Jockey Club de Santos - que mantinha sede social no palacete da Av. Presidente Wilson, 13 (esquina da Rua Marcílio Dias), depois ocupado pelo Clube XV - permaneceu em atividades até cerca de 1945. Depois, por várias décadas, o terreno do hipódromo permaneceu como vasta área deserta, até começar a ser ocupado em parte pelo Conjunto Habitacional Marechal Humberto de Alencar Castelo Branco, por instalações da Previdência Social e, na passagem para o século XXI, também por um centro comercial.

Esta notícia é do jornal A Tribuna, edição de 1º de setembro de 1942 (exemplar no acervo do historiador Waldir Rueda):


Na foto: Sra. Úrsula Syndall, montando "Infante", quando disputava a "Taça Equipe"
Reprodução do original

"Taça Equipe"

A equipe formada por João Alves Toledo e Humberto Gruber venceu novamente essa prova, montando Charles e Colorado, respectivamente

Teve um transcorrer dos mais atraentes a segunda disputa da taça "Equipe", levada a efeito domingo último, na pista do Clube Hípico de Santos.

Público numeroso e seleto lotou as dependências do fidalgo grêmio, aplaudindo, indistintamente, os cavaleiros empenhados na liça.

Era essa a segunda vez que a taça "Equipe" estava em jogo. Como da primeira vez, voltaram a vencer os srs. João Alves Toledo e Humberto Gruber, a mesma equipe que ergueu o troféu, quando da sua inicial disputa.

"Charles" foi o cavalo montado por João Alves Toledo e "Colorado" a montaria de Humberto Gruber.

Os vencedores executaram o percurso em magnífica forma, demonstrando notáveis progressos.

Em segundo lugar colocou-se a equipe formada pelos srs. Darci Stockler e P. L. Corvelo, montando "Curioso" e "Diep", respectivamente.

QR Code - Clique na imagem para ampliá-la.

QR Code. Use.

Saiba mais