Júlio Roberto Katinsky (*)

Engenho dos Erasmos. Vista da planície e elevação (c.11.00 N. Mar) na qual se situa o
galpão industrial. À direita, conjunto habitacional. Ao fundo, encostas com risco de deslizamento
Foto: Júlio R. Katinsky - 10/11/98 - publicada com a matéria

Engenho dos Erasmos. Cobertura parcial do galpão industrial realizada na década de 60,
por iniciativa de Luís Saia, de acordo com a indicação das ruínas existentes.
À direita, parede Noroeste
Foto: Júlio R. Katinsky, publicada com a matéria

Engenho dos Erasmos. Parede Noroeste, junto à cobertura de 1960.
Observar uma das sete seteiras identificadas pelas pesquisas arqueológicas
Foto: Júlio R. Katinsky - 21/12/98 - publicada com a matéria

Engenho dos Erasmos. Vista da Parede Noroeste, com arbustos crescidos entre as
fundações
Foto: Júlio R. Katinsky, publicada com a matéria

Engenho dos Erasmos. Parede Noroeste com uma das seteiras destruída
Foto: Júlio R. Katinsky - 21/12/98 - publicada com a matéria

Engenho São Jorge dos Erasmos - Santos-SP. Restituído a partir de levantamento do
SPHAN (1960) e medições in loco. Escala 1:300 (20/11/96). Arquiteto: Luiz Augusto Viva
Imagem: publicada com a matéria

Engenho São Jorge dos Erasmos. Corte passando pelo sopé da rampa. Em engenhos do
século XVIII, as rampas são construídas sobre os desníveis mais suaves. Aqui, ela foi locada na área mais íngreme, ao lado de uma plataforma
estreita, configurando plataforma de defesa
Imagem: publicada com a matéria

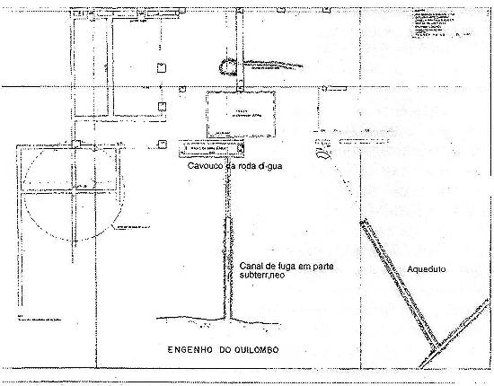
Levantamento das ruínas do Engenho do Quilombo para a disciplina História da
Técnica no Brasil, por Ana Gabriela G. Lima, Carlos N. Camargo, Daniela Martins Buchler, Marisa Rechenberg, Orlando Lobosco, Roberto Pereira,
1992. Fonte: Arquivo da Biblioteca da FAU
Imagem: publicada com a matéria


Engenho dos Erasmos. Triangulação do fragmento de rocha, construído como moenda. A
carpintaria de máquinas tradicionalmente portuguesa foi capaz de associar roda d'água e lagar de azeitonas. Sabemos que esse moinho ("Trapetum") foi
usado no Brasil no século XVI, adaptado para extrair o caldo da cana. Mas, neste caso, o tamanho da pedra reconstituída (1,80 m de diâmetro - 40 cm
de espessura) e a excentricidade não favorecem a hipótese de peça de moinho hidráulico. Além disso, a pedra apresenta-se em decomposição, sinal de
inadequação para a função pretendida
Imagens publicadas com a matéria