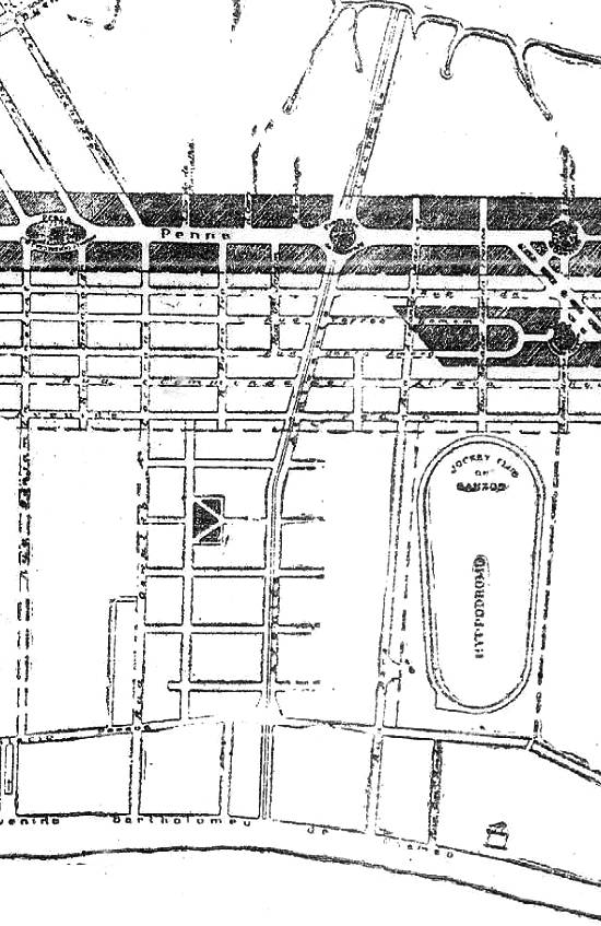
| Apesar da importância que teve na época para o hipismo
paulista e brasileiro, quase nada mais resta - nem mesmo na lembrança dos antigos santistas - do grande hipódromo do Jóckey Club de Santos que
funcionava na Ponta da Praia, ou mais especificamente no bairro Aparecida (que surgiu depois da extinção dessas
instalações). A sede social do clube, entretanto, estava situada num palacete no Gonzaga, na Av. Presidente Wilson, 13 (esquina da Rua Marcílio
Dias), onde mais tarde funcionaria por algum tempo a quinta sede do Clube XV.
As primeiras corridas foram disputadas ali em 27 de julho de 1919,
e por muitos anos ele figurou nas plantas santistas como a única edificação importante num imenso
terreno descampado, cortado apenas pelos primeiros canais e pelas avenidas Afonso Pena,
Pedro Lessa e Bartolomeu de Gusmão.

Imagem: detalhe de publicidade no jornal santista A Tribuna,
em 5/8/1928
Com o encerramento das atividades do clube hípico em 1930, a área (entre as ruas
Alexandre Martins e Pirajá da Silva, e as avenidas Epitácio Pessoa e Pedro Lessa - precisamente defronte à Rua Senador Lacerda Franco)
ficou deserta por muito tempo, até ser parcialmente ocupada pelo Conjunto Habitacional Marechal
Humberto de Alencar Castelo Branco, em 1967, pelo posto da Previdência Social (INPS) e mais recentemente, completando a urbanização, pelo
centro comercial Praiamar.
Poucas lembranças restam do hipódromo: "Um pequeno
núcleo residencial floresceu também na Alexandre Martins, perto de onde funcionou o Jockey Clube. Poucos conseguem esquecer as corridas de cavalo
que eram realizadas ali, sempre com um animado público. As vitórias se transformavam no melhor assunto da semana, e geravam discussões acaloradas na
Padaria Jockey, que ficava na Alexandre Martins com Pedro Lessa. Conhecida em todo o bairro, a padaria ficou mais famosa ainda quando passou a ser
ponto final do bonde 19", registrou a jornalista Leda Mendes
Mondin, na série de matérias Conheça o seu Bairro ...em 1982. |