|
SANTOS - BAIRROS -
mapa - Aparecida <<-- escolha o retorno
Aparecida (2)


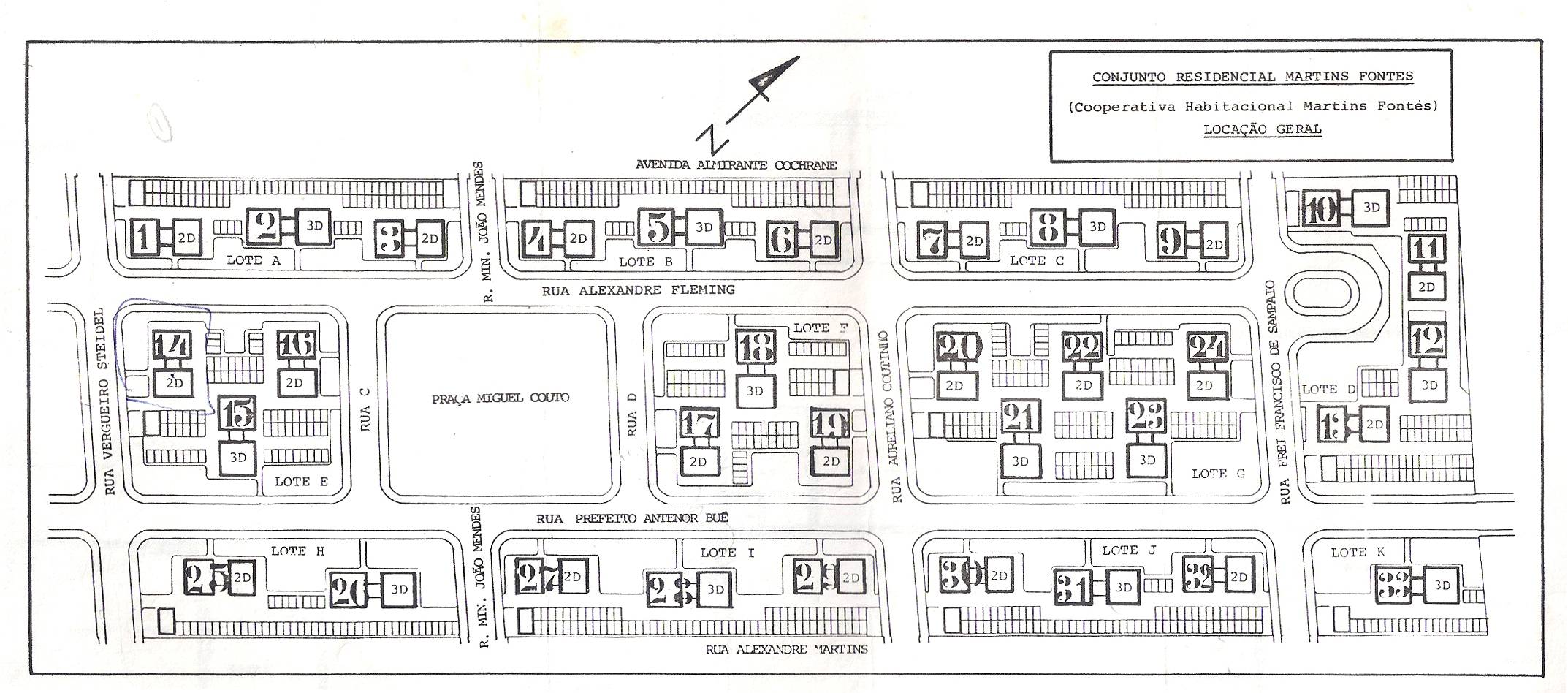
A história do Conjunto Residencial Martins Fontes, cujos moradores conhecem mais pelo nome da construtora (Jaú), foi compilada pelo
jornalista Rafael Mota, que a enviou a Novo Milênio em 17/10/2015, junto com esta imagem (localização de cada um dos 33 blocos, divididos em 11 lotes, do Conjunto Residencial Martins Fontes. Documento entregue em 26 de junho de 1981 aos
cooperados):
Clique na imagem para reduzi-la ou >>aqui<< para ir ao livro:

|